
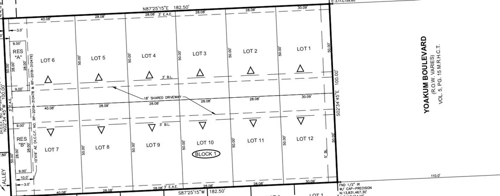
Shovel-Ready Development Opportunity – 12 Platted Single-Family Lots Exceptional investment opportunity for builders and developers. This property has already been replated into 12 single-family residential lots, offering a streamlined path to vertical construction. All civil engineering has been completed, and architectural plans are finalized, significantly reducing time, cost, and entitlement risk. Skip the lengthy approval process and move directly into development. With groundwork and design work already in place, this project is perfectly positioned for immediate execution and accelerated returns. Rare chance to acquire a fully prepped residential development in a high-demand market. Contact us for plans, engineering reports, and additional details.
The information being provided by Houston Association of REALTORS, Inc. is for the consumer's personal, non-commercial use and may not be used for any purpose other than to identify prospective properties consumers may be interested in purchasing. Any information relating to real estate for sale referenced on this web site comes from the Internet Data Exchange (IDX) program of the Houston Association of REALTORS, Inc. This web site may reference real estate listing(s) held by a brokerage firm other than the broker and/or agent who owns this web site.
The accuracy of all information, regardless of source, including but not limited to open house information, square footages and lot sizes, is deemed reliable but not guaranteed and should be personally verified through personal inspection by and/or with the appropriate professionals. The data contained herein is copyrighted by Houston Realtors Information Service, Inc. and is protected by all applicable copyright laws. Any unauthorized dissemination of this information is in violation of copyright laws and is strictly prohibited.
Copyright 2022 Houston Association of REALTORS, Inc. All rights reserved.
Last Updated: . Source: HARMLS
Provided By
Listing Agent: Anthony Monaco (#AMONACO)
Listing Office: Elka International Realty (#ELKA01)

Get an estimate on monthly payments on this property.
Note: The results shown are estimates only and do not include all factors. Speak with a licensed agent or loan provider for exact details. This tool is sourced from CloseHack.